• guanajuato
  • leon
  • celaya
  • irapuato
  • superdeportivo
  • SOY FIERA
  • espectaculos
  • SUCESOS
  • opinion
  • hidalgo
Saltar al contenido
Iniciar Sesión Suscríbete /día

Buscar

Iniciar sesion
Periódico AM

Periódico AM

Suscríbete /día
Círculo AM Epaper AM
  • guanajuato
  • leon
  • celaya
  • irapuato
  • superdeportivo
  • SOY FIERA
  • espectaculos
  • SUCESOS
  • opinion
  • hidalgo
Home » Archives for Noé Laguna » Página 14

Archivo del Autor: Noé Laguna

Publicado encdmx

Seguridad en el Estado de México: Motosicarios sorprenden a Carlos y lo asesinan frente a su hermana

por Noé Laguna6 julio, 2022
Publicado enestados

Seguridad en Nuevo León: Detienen a esposo de influencer Andy Benavides por agresivo

por Noé Laguna6 julio, 2022
Publicado ennacional

Mañanera de AMLO en vivo hoy miércoles 6 de julio: Busca plantear a Joe Biden acuerdo migratorio

por Noé Laguna6 julio, 2022
Publicado enestados

Seguridad en Morelos: Óscar sale contento rumbo a la secundaria, lo asesinan a balazos a unos metros

por Noé Laguna5 julio, 2022
Publicado enestados-unidos

Tiroteo en Estados Unidos: “Él no quería venir al desfile”, dicen familiares de abuelo mexicano que murió en el ataque

por Noé Laguna5 julio, 2022
Publicado ennacional

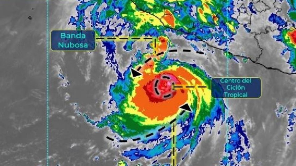
Clima Huracán Bonnie: Se intensifica y es categoría 3, emiten alerta en varios estados del pais

por Noé Laguna5 julio, 2022
Publicado ennacional

Clima Huracán Bonnie: Hay alerta en las costas de Guerrero y Michoacán, sigue en categoría 2

por Noé Laguna5 julio, 2022
Publicado ennacional

Mañanera de AMLO en vivo hoy martes 5 de julio del 2022: Envía reforma para eliminar horario de verano

por Noé Laguna5 julio, 2022
Publicado enestados

Feminicidio en el Estado de México: David confiesa haber asesinado a su esposa y dejar su cuerpo en un baldío

por Noé Laguna4 julio, 2022
Publicado enestados

Seguridad en Veracruz: Armados asesinan a 7 miembros de una familia, hay tres mujeres

por Noé Laguna4 julio, 2022

Paginación de entradas

Publicaciones más nuevas 1 … 12 13 14 15 16 … 187 Publicaciones más antiguas
© 2025 Periódico AM Powered by Newspack